Fot. Powiat Leszczyński
Starosta Leszczyński ogłosił przetarg na sprzedaż działki w Klonówcu.
Wadium należy wpłacić do 27 stycznia br., przetarg odbędzie się 4 lutego 2026 roku.
Starosta Leszczyński ogłosił przetarg ustny nieograniczony na sprzedaż
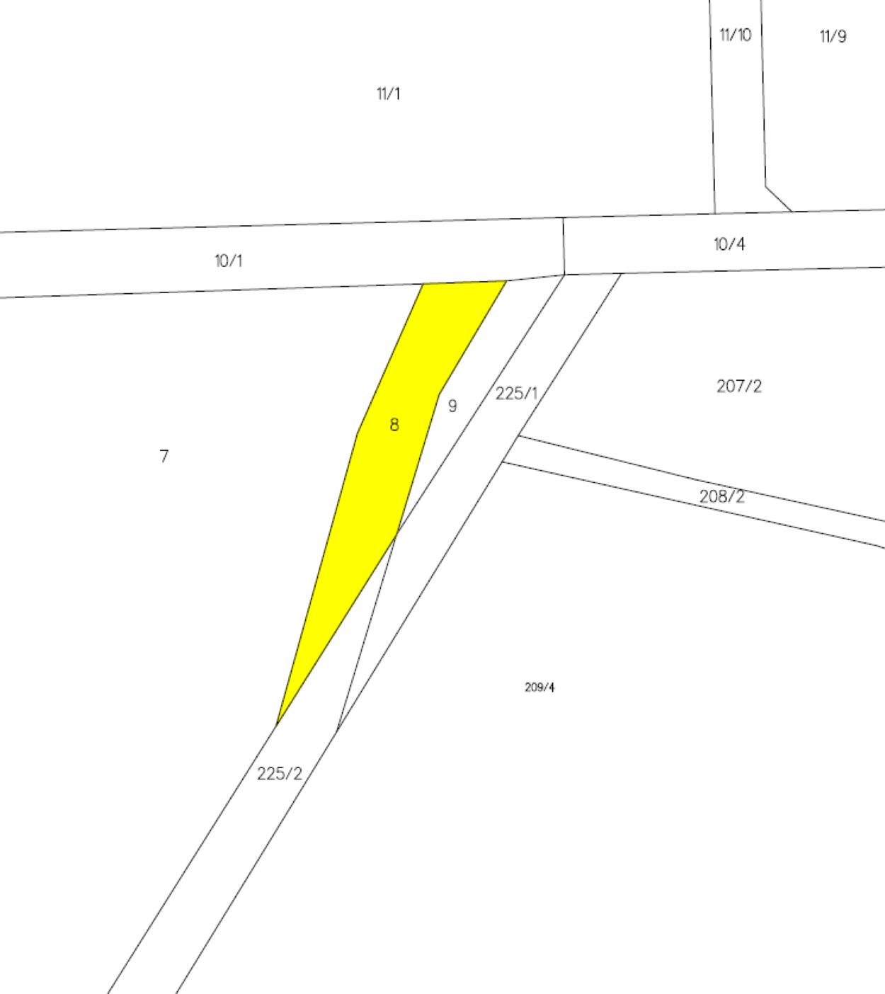
nieruchomości o powierzchni 0,0900 ha, położonej w obrębie Klonówiec.
Zgodnie z postanowieniami miejscowego planu zagospodarowania przestrzennego gminy Lipno, działka nr 8 jest położona na obszarze przeznaczonym pod strefę działalności gospodarczej związanej z wytwarzaniem, magazynowaniem i przetwarzaniem produktów z dopuszczeniem zakładów produkcji i usług rzemieślniczych bez prawa zabudowy mieszkaniowej.
Teren działki jest płaski, stanowi ona wydłużony pas gruntu o szerokości około 13 metrów. Działka posiada bezpośredni dostęp do dróg publicznych – do Wilkowic i Mórkowa i znajduje się niedaleko zjazdu z drogi wojewódzkiej nr 309.
Cena wywoławcza nieruchomości to 48.300,00 zł
Przetarg odbędzie się 4 lutego 2026 roku o godz. 10.00 w Starostwie Powiatowym w Lesznie, Plac Kościuszki 4b (sala nr 18):
Wadium w kwocie 9.000,00 zł należy wpłacić do dnia 27 stycznia 2026 roku.
Szczegółowe informacje TUTAJ oraz TUTAJ.


Fot. Powiat Leszczyński